Tamil Nadu: నైరుతి బంగాళాఖాతంలో అల్పపీడనం 2 Feb 2023 9:30 AM GMT
బంగాళాఖాతంలో మరో అల్పపీడనం.. అల్పపీడనం రేపు వాయుగుండంగా మారే అవకాశం 14 Dec 2022 3:08 AM GMT
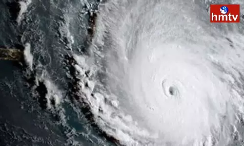
బంగాళాఖాతంలో వాయుగుండంగా మారిన మాండూస్ తుఫాన్ 11 Dec 2022 4:19 AM GMT
దక్షిణ ఆగ్నేయ బంగాళాఖాతంలో వాయుగుండం కేంద్రీకృతం 9 Dec 2022 2:54 AM GMT
ఆగ్నేయ బంగాళాఖాతంలో వాయుగుండం 8 Dec 2022 2:15 AM GMT
బంగాళాఖాతంలో దూసుకొస్తున్న మరో తుఫాన్.. ఏపీ దక్షిణ కోస్తా, రాయలసీమలో భారీ వర్షాలు 7 Dec 2022 2:53 AM GMT
AP Weather: ఏపీకి తుఫాన్ ముప్పు 6 Dec 2022 3:40 AM GMT
ఆగ్నేయ బంగాళాఖాతంలో ఈనెల 5న అల్పపీడనం 2 Dec 2022 3:30 AM GMT
Weather Updates: తుఫాను వచ్చే అవకాశముందన్న వాతావరణ శాఖ 18 Nov 2022 3:35 AM GMT
About
HMTV team aims to keep you abreast with whatever is making headlines across the world including politics, business, sports, lifestyle and entertainment.
Our Links
Subscribe
Get the best positive stories straight into your inbox!
SubscribeSubscribed Failed...
Subscribed Successfully...
We're social, connect with us:
© Copyrights 2025. All rights reserved.
Powered By Hocalwire













